Brenelle (02220)

Brenelle (02220)

76 000 € *
  •   Référence : 86489627
  •   Dernière mise à jour : 05/12/2025

NC
Classe Énergie
Non communiqué
info
NC
Indice d'émissions de gaz à effet de serre
Non communiqué
info
Pour la nouvelle notation (DPE à partir de juillet 2021), c'est la plus mauvaise des deux performances (énergie, climat) qui est retenue.

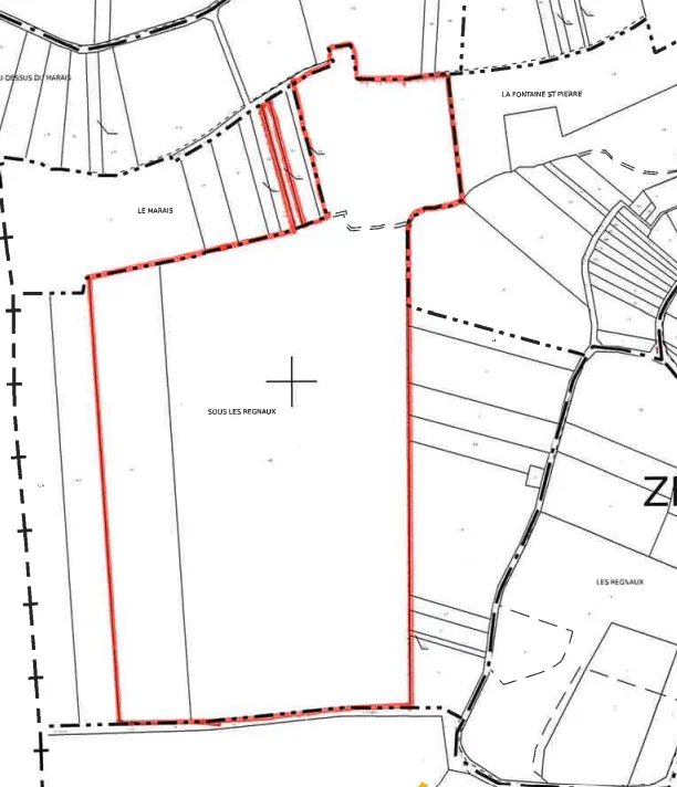
L'agence Arthurimmo vous présente cette superbe parcelle forestière d'une superficie de 11 hectares 3 ares 12 centiares, idéalement située à deux pas de Braine.
La parcelle a récemment été exploitée et offre ainsi une belle opportunité de reboisement.

Atouts de la propriété


- Superficie d'un seul tenant

- Accès facile

- Environnement calme

À VISITER RAPIDEMENT !!

Numéro de mandat : 2741HP

Honoraires à la charge du Vendeur
Bien En copropriété : NON

* Prix net, hors frais notarié, d'enregistrement et de publicité foncière.

Contactez
ARTHURIMMO.COM LAON

Adresse postale

17 Place Victor Hugo
02000 LAON
Itinéraire

Site internet

laon-arthurimmo.com

N° de téléphone

Siret : 52907770300039

Nous contacter

Contactez-nous pour l'annonce "Forêt à vendre Braine", Réf. : 86489627

* Tous les champs sont obligatoires ** En cas de transmission de coordonnées téléphoniques vous reconnaissez accepter expressément d'être rappelé par l'annonceur