Annonces gratuites - Paruvendu.fr le numéro 1 des petites annonces en France
Accès proPro Déposer  une annonce gratuite
  • Se connecter
  • Immobilier
    • Vente
    • Maison à vendre
    • Location
    • Viager
    • Immo neuf
    • Terrains
    • Location vacances
    • Cession commerces
    • Agences immobilières
  • Auto-Moto
  • Emploi
  • Seconde main
  • Animaux
  • Services
  • Vacances
  • Affaires pro
  • Edito
Près de chez vous
 
 

Contacter l'annonceur

Message en cours d'envoi...
 
Merci de patienter quelques instants...
 
 
Fermer
 
 

 Création d'une alerte

 

Vous recevrez par email les annonces similaires à ce bien :

Conilhac-Corbières (11200) - Terrain - 700 m² - Vente - Réf. 992781334022
Retour à la liste Terrain constructible à vendre Conilhac-Corbières

Vente Terrain 700 m² Conilhac-corbières (11200)

Localiser cette annonce

1 / 3

Vente Terrain Vente Terrain 700 m² Conilhac-corbières Exclusivité

Visite virtuelle

Vente Terrain Vente Terrain 700 m² Conilhac-corbières

Vente Terrain Vente Terrain 700 m² Conilhac-corbières

Terrain à vendre Conilhac-corbières (Aude 11)

Vente Terrain 700 m²
iad France
- Ingrid Deroo vous propose: En exclusivité – Terrain constructible à Conilhac-Corbières

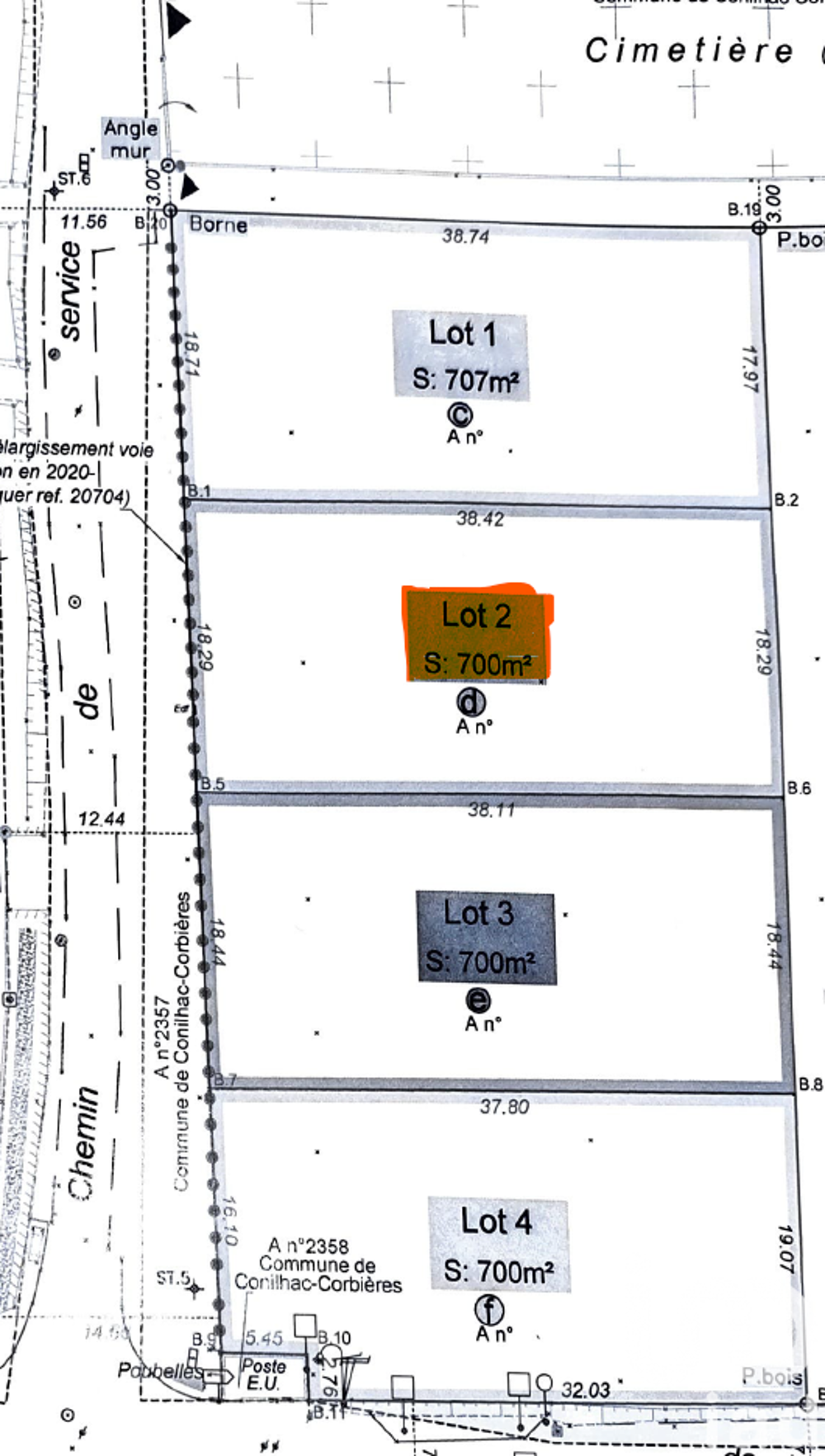
Située dans un quartier résidentiel calme de Conilhac-Corbières, cette parcelle plate de 700 m² (lot n°2), issue d'une division parcellaire, constitue une belle opportunité pour votre projet de construction.

Atouts majeurs :

- Terrain viabilisé (eau + électricité).

- Accès autoroute à seulement 5 min en voiture.

- À 2 min en voiture de la zone commerciale de Lézignan-Corbières : Bricomarché, Zeeman, Action, Intermarché, Carrefour, boulangerie, boucherie etc…

- À 2 min à pied seulement de la crèche fraichement construite et de l'école.

- Proche des commodités : restaurant, city stade et épicerie du village.

- Environnement agréable et familial

- En limite arrière, une parcelle destinée à rester en espaces verts, assurant vue dégagée et tranquillité durable

Idéal pour une résidence principale ou un investissement locatif.

Une présentation par un clip vidéo est disponible pour ce bien.
Ce clip est visible directement sur certains sites immobiliers où l'annonce est diffusée, ou sur simple demande.

N'hésitez pas à me contacter pour plus d'informations ou pour organiser une visite

Honoraires d'agence à la charge du vendeur.
Bien non soumis au DPE.
Les informations sur les risques auxquels ce bien est exposé, y compris l'obligation légale de débroussaillement, sont disponibles sur le site Géorisques :
La présente annonce immobilière a été rédigée sous la responsabilité éditoriale de Mme Ingrid Deroo mandataire indépendant en immobilier (sans détention de fonds), agent commercial de la SAS I@D France immatriculé au RSAC de Narbonne sous le numéro 832530299, titulaire de la carte de démarchage immobilier pour le compte de la société I@D France SAS.
CC HT
Numéro de mandat : 1802277

Honoraires à la charge du Vendeur
Bien En copropriété : NON
Lieu : Aude (11)
Lire la suite

Je souhaite être recontacté

    Information relative aux traitement de vos données
    Exercer mes droits

    * champ obligatoire

    ** en cas de transmission de coordonnées téléphoniques vous reconnaissez accepter expressément d'être rappelé par l'annonceur.

    Caractéristiques du bien

    • Superficie 700m2 environ
    • Constructible NC
    • Extérieur Surface terrain : 700 m2
    • Réf. annonce ParuVendu 1802277
    • Mise à jour 13/01/2026 à 04:12

    Estimez vos futures mensualités

    Simulez vos mensualités avec notre partenaire Pretto, qui compare plus de 100 banques pour vous. Recevez une estimation précise en seulement 3 minutes.

    Mensualités estimées logo Pretto
    1 262€ / mois *
    Taux du crédit 3.60%

    Obtenez les meilleures conditions pour votre crédit

    Bénéficiez gratuitement d'une simulation détaillée pour votre projet avec notre courtier partenaire Pretto.

    • 3min 3 min
    • + de 100 banques comparées +100 banques comparées
    * Données indicatives et non contractuelles. Taux estimé hors assurance et frais annexes. Vos revenus sont le principal facteur qui fait varier le taux d'intérêt.

    Qualité de connexion internet à Conilhac-corbières (Aude 11)

    94% Télétravail optimal

    Indice de connectivité

    95%

    Taux d'éligibilité à la fibre

    L'annonceur professionnel

    iad France Agent Commercial immatriculé à CCI SEINE ET MARNE
    N° 50367642100020
    Ingrid Deroo 

    Réseau de conseillers indépendants immobilier

    iad France - Lieusaint
       
    Voir ses autres annonces | Site web de l'agence | Nos tarifs

    Lire +

    Biens à acheter à Conilhac-corbières

    Terrain, 700m², 79 000 €  Conilhac-Corbières (11200)

    Terrain, 700m², 79 000 €  Conilhac-Corbières (11200)

    Terrain, 700m², 79 000 €  Conilhac-Corbières (11200)

    Terrain, 1329m², 131 200 €  Conilhac-Corbières (11200)

    Découvrir les autres biens immobiliers à Conilhac-Corbières
     
    Services immobiliers
    • Imprimer la fiche visite
    • Vendre un bien immobilier
    * Prix net, hors frais notarié, d'enregistrement et de publicité foncière.
     
    79 000 €
    notifications
    • Envoyer un message Voir le numéro
    iad France - Lieusaint

    iad France Agent Commercial immatriculé à CCI SEINE ET MARNE
    N° 50367642100020
    Ingrid Deroo 

    Voir ses autres annonces

    Réseau de conseillers indépendants immobilier

    Site Internet
     Signaler l'annonce
     
     
    Nos partenaires
    • Immobilier
    • Vente
    • Terrain
    • Languedoc-Roussillon
    • Aude (11)
    • 700 m²...

    A propos de ParuVendu

    • Qui sommes-nous?
    • Nos solutions pour les pros
    • Recrutement
    • Témoignages
    • Presse
    • Applications
    • Nous contacter
    • Aide - FAQ

    Liens utiles

    • Vos suggestions
    • Cookies
    • Politique de protection des données personnelles
    • Mentions légales
    • Signaler un contenu illicite
       
    • Mon compte
    • |
    • Déposer une annonce
    • |
    • Recherche petites annonces
    • |
    • Annonces proche de moi

    © 2026 ParuVendu.fr | Tous droits réservés
    © Crédits photos | Adobe Stock