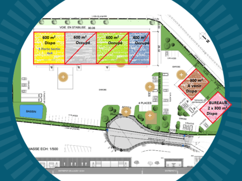
Entrepôt avec bureau et sanitaires 400 m2 st laurent du médoc
33112 Saint-laurent-médoc
A 30 mns de la rocade, à saint laurent du médoc, dans une zone d'activité nouvelle, entrepôt de 400 m2 à louer, 1 porte
motorisée 5x5, entrepôt entièrement doublé (double peau, bonne isolation), clôture, portail d'entrée, 20 m2 bureau...