iad France
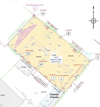
- Arnaud Boucheteil vous propose: À SAINT-ETIENNE-DE-MONTLUC, Chemin De La Clunais, Terrain à bâtir 561 m² à vendre.
Dans un environnement calme (impasse) et proche du bourg (10min à pied), découvrez cette belle parcelle parfaitement plate qui peut être facilement raccordé au réseau d'eau, à l'électricité, au gaz, au tout à l'égout et à la fibre.
Terrain rare sur le secteur.
Honoraires d'agence à la charge du vendeur.
Bien non soumis au DPE.
Les informations sur les risques auxquels ce bien est exposé, y compris l'obligation légale de débroussaillement, sont disponibles sur le site Géorisques :
La présente annonce immobilière a été rédigée sous la responsabilité éditoriale de M Arnaud Boucheteil mandataire indépendant en immobilier (sans détention de fonds), agent commercial de la SAS I@D France immatriculé au RSAC de Pontoise sous le numéro 913125332, titulaire de la carte de démarchage immobilier pour le compte de la société I@D France SAS.
CC HT
Numéro de mandat : 1937604 992784760624 1937604 Vente immobilier Terrain Saint-Étienne-de-Montluc (44360) Terrain 561 m²